天津海教园天南创新谷规划公布
天津房产快讯 2021-11-04 13:43:46
用手机看
扫描到手机,新闻随时看
扫一扫,用手机看文章
更加方便分享给朋友
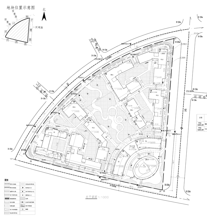
文章来源:乐居买房 近日,天津津南区海河教育园《天南创新谷项目建设工程规划许可证设计方案总平面图》在天津规划和自然资源局正式公布。 该项目总用地面积约12.16万㎡,容积率≤1.8,规划总建筑面积约24.07万㎡,其中,地上记容建面约16.45万㎡。 规划方案 该项目位于海河教育园南开大学新校区的北
文章来源:乐居买房
近日,天津津南区海河教育园《天南创新谷项目建设工程规划许可证设计方案总平面图》在天津规划和自然资源局正式公布。
该项目总用地面积约12.16万㎡,容积率≤1.8,规划总建筑面积约24.07万㎡,其中,地上记容建面约16.45万㎡。
该项目位于海河教育园南开大学新校区的北侧,即今年5月津南城投以7.074亿摘得的纯商服用地。
天南创新谷项目属于天南小镇的一部分。根据规划,天南小镇坐落于海河教育园区内,东侧与各职业院校接壤,西侧比邻天津大学、南开大学,旨在打造“智能的小镇、文化的小镇、生态的小镇、活力的小镇”。
声明:本文由入驻焦点开放平台的作者撰写,除焦点官方账号外,观点仅代表作者本人,不代表焦点立场。


